Introducción
La gran importancia que tuvo el hallazgo de la monumental escultura de la diosa Tlaltecuhtli, ubicada justamente al pie del Templo Mayor de Tenochtitlan, ocasionó que en el mes de mayo de 2007 iniciara un programa de investigación científica de largo plazo. Desde entonces, el equipo de especialistas del Proyecto Templo Mayor (PTM, México), que dirige el arqueólogo Leonardo López Luján, ha enfocado sus esfuerzos en la exploración de ese espacio, en el que hasta la fecha se han encontrado más de 60 depósitos rituales.
Como resultado del estudio y el análisis de dichos depósitos, los investigadores han logrado recuperar y conservar decenas de miles de objetos de diversa naturaleza, conformados por restos minerales, botánicos, faunísticos y humanos así como numerosos objetos culturales, manufacturados con diferentes materias primas. Con esos resultados se demuestra no sólo la gran importancia religiosa del área en donde se halló el monolito sino también el indiscutible poder político y económico del Imperio mexica (López, 2014, p. 77).
Al interior de algunas de las ofrendas se han encontrado diversos artefactos manufacturados en madera, cuya conservación y permanencia se considera excepcional debido a que, por su naturaleza orgánica, están en situación de gran vulnerabilidad a los diversos factores de su entorno (Unger et al., 2001, pp. 23-25). A lo largo de poco más de diez años de trabajo en esa área, la unión de esfuerzos de restauradores y arqueólogos del PTM ha dado importantes resultados. Las condiciones contextuales específicas en el Centro Histórico de la Ciudad de México, en combinación con las labores encaminadas a la recuperación, la estabilización y el estudio de los objetos, actualmente permiten profundizar en diferentes aspectos relacionados con esa importante colección.
Para la presente investigación, que aún se encuentra en curso, se han planteado objetivos específicos, entre los que destaca el de determinar las especies maderables utilizadas en la manufactura de los objetos y su posible relación con los efectos de deterioro y con las conclusiones derivadas de su estabilización. Ello ha dado pie al trabajo colaborativo con el Laboratorio de Biología de la Escuela Nacional de Conservación, Restauración y Museografía (ENCRyM, México), con el que se estableció un protocolo de investigación dirigido a la identificación taxonómica de la madera. En este trabajo se presentan y discuten los resultados obtenidos hasta el momento, los cuales consisten en el estudio y el análisis de 62 muestras que se han seleccionado de acuerdo con la ofrenda de la cual provienen los objetos, su estado de conservación y las tipologías establecidas a partir del análisis arqueológico.
El estado de conservación de la colección
Cada vez que en el PTM se da el hallazgo de restos de madera, los restauradores participan paralela y constantemente con los arqueólogos con el fin de monitorear y de controlar in situ las condiciones contextuales. Como resultado de ello, y de la posterior ejecución de las labores orientadas a la estabilización y el análisis de los objetos de madera, actualmente se cuenta con un diagnóstico general sobre el estado de conservación que guarda esa colección, la cual hasta el momento se conforma por poco más de 2 500 elementos. Debido a que es bastante numerosa, y a que continúa en crecimiento, la presente investigación ha planteado como uno de sus principales objetos complementar, sustentar y cotejar el diagnóstico general con los resultados derivados de las identificaciones taxonómicas.
Para hablar sobre los mecanismos y los efectos de deterioro, resulta necesario mencionar que los procesos de alteración en las estructuras vegetales de la madera pueden ser causados por tres diferentes factores: químicos, físicos o biológicos (Alonso, 1996, pp. 55-98). El deterioro químico se debe principalmente a la constante presencia de humedad durante el tiempo de enterramiento. Si bien esa característica contribuye con la conservación de los objetos, al mismo tiempo genera un debilitamiento en las estructuras vegetales, ocasionado por la disolución de sus principales componentes: estructuralmente, las paredes celulares se encuentran hinchadas, produciéndose un decremento en sus propiedades mecánicas y a simple vista, los objetos presentan modificaciones en sus características físicas, esto es, peso, color y permeabilidad. Además, esos elementos se encuentran sumamente frágiles y blandos al tacto, haciendo que su manipulación sea extremadamente delicada.
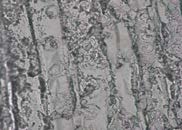
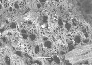
Se puede decir que el deterioro físico se relaciona con el deterioro químico, ya que en muchos casos las estructuras hidrolizadas presentan deformaciones, grietas o fracturas así como pérdidas parciales o totales. También se han observado cambios dimensionales y morfológicos en algunos de los objetos, lo que probablemente generó que en varios de éstos se perdieran las capas de decoración sobre sus superficies. Por su parte, el deterioro biológico se ha observado de manera puntual, no obstante que es el menos común respecto de la totalidad de la colección, lo que muy probablemente se debe a las condiciones anaerobias de los contextos. Sin embargo, en algunas ocasiones se han registrado evidencias por ataque biológico, presencia de micelio (hifas en el tejido celular) así como manchas y galerías causadas por insectos xilófagos (Figura 1).

(Fotografías: Alejandra Alonso y Néstor Santiago, 2009-2010; cortesía: Proyecto Templo Mayor-Instituto Nacional de Antropología e Historia [PTM-INAH], México)
Figura 1 Ejemplos de los efectos de deterioro en los objetos: 1. deterioro químico, 2. físico y 3. biológico.
Finalmente, y de acuerdo con el análisis sobre el estado de conservación que presentan los miles de objetos de madera, se ha podido observar que aquellos que se encontraron contenidos dentro de cajas o de cistas fabricadas en sillería de tezontle estuvieron inmersos en una serie de condiciones específicas que coadyuvaron a inhibir los procesos de transformación en sus materiales constitutivos. Las condiciones ambientales en esos casos se mantuvieron más estables durante el tiempo en que los objetos se encontraron bajo tierra. En el interior de esos depósitos se pudo recuperar una mayor cantidad de objetos de madera. Éstos, además, se hallaron completos o casi completos, y muchos incluso conservaron restos de policromía en sus superficies.
A ese respecto, cabe mencionar que el tipo de receptáculo o continente dentro del cual se depositaron los objetos ha determinado en gran medida su conservación. En el Templo Mayor pueden ser de tres tipos: ofrendas en relleno en las que los objetos se dispusieron de modo directo, generalmente sobre un lecho de arena; ofrendas en cajas de sillares de piedra con lajas a manera de tapas, y ofrendas en urnas de piedra tallada (López, 1993, pp. 124-130).
El análisis del conjunto de todas esas características se complementa con los datos obtenidos de las identificaciones taxonómicas, ya que se busca determinar posibles relaciones entre las especies y su susceptibilidad al deterioro. Hasta el momento la valoración conjunta e integral de esa colección permite considerar que los objetos de madera contenidos en cajas de sillares ubicadas a mayor profundidad han contado con las condiciones más estables durante su enterramiento, por lo que se han inhibido algunos de los procesos de su transformación. Se puede decir que los casos en los que esos objetos se han preservado de mejor manera son: la Ofrenda 141, la Ofrenda 126, la Ofrenda 125, la Ofrenda 136 y, finalmente, la Ofrenda 120.
Cabe mencionar que, aunque cada ofrenda se considera única y relevante, en su interior se encontró un gran número y una gran variedad de materiales que están asociados entre sí. Ese hecho: que las ofrendas en el Templo Mayor estén conformadas por muchos materiales asociados entre sí -los cuales en cada caso cumplieron una función específica dentro del acto ritual del que formaron parte (López, 1993, p. 109) -, obliga a considerar que la interacción directa entre los ahí contenidos pudo haber sido en algunos casos un factor que promovió o afectó la preservación de los objetos de madera. Además, esos cinco depósitos presentaron tapas con lajas de piedra y argamasa de cal, lo cual generó una especie de sello que posiblemente contribuyó con un mayor control en las condiciones contextuales al interior (Figura 2).
Los procesos de estabilización para los objetos de madera
A lo largo de casi 50 años, en el campo de la conservación se han implementado distintos métodos y utilizado diversas sustancias con el fin de brindar estabilidad a la madera arqueológica proveniente de contextos húmedos. Actualmente los especialistas buscan emplear compuestos que sean estables y, en lo posible, compatibles con las estructuras vegetales (Alonso, 2011, p. 60). A ese respecto se pueden mencionar las distintas experiencias derivadas del uso del polietilenglicol y también de los azúcares sintéticos.
El polietilenglicol es un material de origen sintético, comúnmente conocido como PEG. Presenta una estructura molecular que se caracteriza por su gran número de enlaces de éter y dos grupos de hidroxil terminales que pueden formar rápidamente puentes de hidrógeno con la celulosa (Sánchez et al., 2017, p. 10). Su uso para la conservación de madera deriva de su aplicación, desde mediados del siglo pasado, en tratamientos anticontracción de maderas frescas. Los procedimientos se basan en reemplazar el agua por PEG al interior de la madera (Sierra, 2003, p. 249).
Por su parte, los azúcares se han utilizado durante poco más de 30 años como una alternativa al PEG. Al igual que la celulosa, son polímeros naturales formados por cadenas de hidratos de carbono, por lo que su composición los hace afines química y físicamente con la madera. Una de sus grandes ventajas es la de ser mínimamente higroscópicos, además de no ser tóxicos ni corrosivos, otra es que actualmente su aplicación implica un bajo costo (Morgos et al., 2015, p. 15).
Entre los azúcares más utilizados para la estabilización de madera húmeda, se puede mencionar la sucrosa (galactosa + fructosa), que comenzó a usarse en Italia a principios de los años setenta del siglo pasado. Posteriormente, en los noventa, iniciaron los trabajos con lactitol monohidratado, un edulcorante de bajo peso molecular y de alta solubilidad en agua. El método de estabilización con lactitol ha sido estudiado y perfeccionado desde entonces por los investigadores Andras Morgos y Setsuo Imazu (Morgos et al., 2008, pp. 1074-1081; Morgos et al., 2015, pp. 15-21; Barajas et al., 2019, pp. 339-362; Sánchez et al., 2017, pp. 5-21). Ese método fue utilizado por primera vez en nuestro país en 2002 por la restauradora Alejandra Alonso, quien llevó a cabo la estabilización de los artefactos de madera procedentes de la Ofrenda 102 en el Templo Mayor (Alonso et al., 2002). Más recientemente se han realizado diversos estudios y tratamientos utilizando ese edulcorante en combinación con la trehalosa dihidratada. Ésta tiene un mayor grado de solubilidad en comparación con el lactitol y contribuye con una adecuada cristalización (Morgos et al., 2008, p. 1079; Morgos et al., 2015, p. 17).
Para el proceso de estabilización de los objetos de madera, en el PTM se ha utilizado el lactitol solo y, posteriormente, en combinación con la trehalosa. El proceso de sustitución o de impregnación en la madera se lleva a cabo de manera paulatina, y la concentración de la disolución se va incrementando progresivamente hasta alcanzar el máximo deseado. En el caso de la colección que nos ocupa, la impregnación ha iniciado con una concentración de 5%, aumentando poco a poco el porcentaje hasta llegar a 82%. El incremento gradual del porcentaje en la solución se realiza a través de 13 etapas que han sido delimitadas por el monitoreo sobre el aumento del peso durante la impregnación de los artefactos más representativos. Lo anterior ha hecho que la duración total del procedimiento abarque entre nueve y doce meses.
Basados en esas referencias, y como resultado del trabajo de estabilización para la colección, en el PTM se han ido modificando las metodologías recomendadas, pues a veces ha sido necesario adaptarlas a los casos específicos, según los tiempos y la disponibilidad de los materiales para la intervención, así como a los avances en los estudios sobre el tema. Durante los primeros años de trabajo (2008-2011) se utilizó únicamente el lactitol monohidratado. De acuerdo con el progreso en las investigaciones, desde mediados de 2011 en el PTM se ha trabajado con la adición de 10% de trehalosa a la solución original de aquel edulcorante.
Una vez estabilizados los objetos de madera, y como resultado de su análisis preliminar, se han catalogado según su función, su forma y su simbolismo. La colección se compone de: dardos, lanzadardos, pectorales, pendientes, máscaras, ornamentos, orejeras, cetros, jarras Tláloc, tocados, una representación de flor y otra de hueso (V. E. Cortés Meléndez, comunicación personal, febrero de 2021). El análisis particular y la asociación entre los diferentes objetos de madera en estudio con el resto de los dones al interior de cada una de las ofrendas permitirán, además, establecer de manera más acertada su simbolismo (Figura 3).
Justificación teórica: identificación taxonómica de la colección y primeras aproximaciones
De acuerdo con el análisis arqueológico de los objetos, y tomando en cuenta su estado de conservación general, los investigadores del PTM y los especialistas del Laboratorio de Biología de la ENCRyM trabajan actualmente en la identificación taxonómica de los elementos más representativos. Cabe decir que, en el campo de la arqueología y de la conservación, se han realizado importantes trabajos referentes a los estudios anatómicos de la madera (Montúfar, 1999; López et al., 2003; Alonso, et al., 2002; Alonso y Tran, 2010; Cruz, 2015), cuyos resultados brindan aproximaciones de carácter multidisciplinario que contribuyen con el conocimiento integral del patrimonio cultural manufacturado con esa materia prima.
Dado que la madera se compone por un conjunto de tejidos de xilema, conformado por diversas células especializadas que realizan funciones como la conducción de savia y la transformación y almacenaje de productos vitales, su estructura presenta gran heterogeneidad. Por ello los estudios científicos analizan tanto macroscópica como microscópicamente los tres planos, o secciones, de esas estructuras, denominados: plano transversal (Tr), plano longitudinal tangencial (Tg) y plano longitudinal radial (Rd) (García et al., 2003, pp. 15-16).
A partir de las identificaciones, y como parte de la primera fase de esta investigación, la información se ha complementado con precisiones sobre el tipo de vegetación (Comisión Nacional para el Conocimiento y Uso de la Biodiversidad [Conabio], 2020; Rzedowski, 2006) y acerca del valor de densidad para cada especie, ya que ambos tienen un impacto en las características físico-mecánicas (Boding y Jane, en Sotomayor, 2005, p. 6). Ello posiblemente dará la posibilidad de responder, a partir del análisis arqueológico, algunas interrogantes referentes a qué tanto pueden relacionarse las especies identificadas con la facilidad para la manufactura de los objetos así como con las tipologías establecidas.
Se considera, asimismo, que los datos obtenidos en ese estudio podrán contribuir con la obtención de un diagnóstico preciso en el que se establezcan más claramente las posibles correspondencias entre las especies seleccionadas y los mecanismos de deterioro. Esas aproximaciones permitirán también evaluar los resultados sobre el proceso de estabilización con los azúcares sintéticos. Todos esos aspectos continúan siendo analizados como parte de esta y las siguientes fases de la presente investigación.
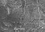
Se cree, además, que con los resultados de las identificaciones taxonómicas se podrá cotejar y complementar la información que brindan las fuentes históricas. Es así como esa investigación multidisciplinaria adquiere gran relevancia: ofrece la posibilidad de realizar, como parte del análisis arqueológico de la colección, revisiones críticas sobre los principales documentos que tratan ese tema. Al respecto, cabe decir que los relatos de fray Bernardino de Sahagún mencionan que en la época mexica los carpinteros y talladores eran artesanos especializados que hicieron uso de los árboles y las plantas existentes en la Cuenca de México (Sahagún, 1979, lib. XI, ff. 119-120). Los primeros resultados de la investigación permiten confirmar, tal y como se menciona en las fuentes, que, por sus características, ese recurso material fue ampliamente utilizado para una gran cantidad de actividades productivas. En la época mexica la madera se extraía predominantemente de los bosques fríos y templados cercanos a la cuenca, y esas especies debieron haberse seleccionado de acuerdo con el uso que se requeriría (López et al., 2003, p. 153) (Figura 4).

(Fuente: Sahagún, 1979, lib. XI, ff. 112-117)
Figura 4 Códice Florentino. Especies de árboles en la Cuenca de México.
Diseño metodológico
Para el estudio del primer bloque de muestras se tomó en cuenta que éstas tendrían que procesarse previamente, considerando además que, en su mayoría, se tomaron de los objetos ya estabilizados con azúcares sintéticos. Ese hecho resultó importante, pues a lo largo de la investigación se ha confirmado que la estabilización mediante el proceso de sustitución da la posibilidad, a partir de la toma y el procesamiento de las muestras en el laboratorio, de analizar los objetos de madera ya impregnados con los azúcares sintéticos.
Siguiendo los criterios sobre el número de elementos de madera recuperados en cada una de las ofrendas, su estado de conservación y la representatividad de las diferentes tipologías establecidas a partir del análisis arqueológico, en esta primera fase de la investigación se han estudiado y analizado 62 muestras que se han seleccionado de acuerdo con la ofrenda de la cual provienen los objetos y, valga la redundancia, con su estado de conservación y las tipologías establecidas.
Las ofrendas u operaciones de las que proceden son: Operación 6 (1 elemento), Ofrenda 120 (1 elemento), Ofrenda 125 (4 elementos), Ofrenda 126 (10 elementos), Ofrenda 130 (1 elemento), Ofrenda 136 (2 elementos), Ofrenda 137 (7 elementos), Ofrenda 141 (24 elementos), Ofrenda 163 (1 elemento), Ofrenda 174 (8 elementos) y Ofrenda 176 (3 elementos). Cabe mencionar que, aunque cada uno de esos depósitos se considera único y relevante, en algunos casos la interacción directa entre los distintos elementos contenidos en su interior pudo haber sido un factor que promovió o afectó la preservación de los objetos de madera. De ahí la importancia de conocer las diferentes especies utilizadas en la manufactura de los objetos. Los resultados obtenidos en esta y las siguientes etapas de trabajo permitirán complementar y cotejar las relaciones existentes entre los materiales constitutivos, la frecuencia de su presencia en las diferentes ofrendas, el estado de conservación y las tipologías establecidas (Figura 5).

(Dibujo: Michelle de Anda Rogel, 2021; cortesía: PTM-INAH, México)
Figura 5 Ubicación de las ofrendas de donde proceden las muestras analizadas.
En cada caso se obtuvo una muestra mínima de material (aproximadamente 3 mm), a la cual se le realizaron cortes histológicos manuales (láminas delgadas) del plano o sección transversal (Tr), longitudinal tangencial (Tg) y/o longitudinal radial (Rd) (García et al., 2003, pp. 15-16), con el fin de observar sus estructuras tanto macroscópica como microscópicamente. Más tarde las muestras se tiñeron con verde-yodo y se fijaron con bálsamo de Canadá (resina natural) para obtener preparaciones microscópicas fijas (Sandoval, 2005, p. 48). El número de cortes o láminas dependió de las condiciones de cada muestra y de la concentración de azúcares sintéticos. Es importante puntualizar que, en algunas muestras, sólo se obtuvieron láminas de uno o dos planos.
La observación de cada preparación fija se realizó por microscopia óptica con un microscopio estereoscópico Leica GZ6 y un microscopio óptico Zeiss ics Standard 25. También se realizó un registro microfotográfico con una cámara digital Nikon Coolpix S1800. En todos los casos se describieron los elementos anatómicos vegetales observados a cada plano para su determinación.
La identificación taxonómica de las muestras se llevó a cabo mediante la observación de elementos anatómicos y con la revisión de claves taxonómicas y bibliografía especializada (IAWA Committee, 1989; De la Paz et al., 1982; Sánchez-González, 2008). Asimismo, se consultó la xiloteca (colección de tabillas de maderas nacionales) de la ENCRyM como material de referencia para la descripción anatómica.
Los resultados obtenidos en esta primera fase se han complementado también con los valores de densidad para cada caso. Ello con el fin de comprender si dicha característica puede tener relación con las propiedades físico-mecánicas y, por ende, con la facilidad o la complejidad para la manufactura de los objetos.
En complemento a esos análisis, se realizaron también observaciones de las muestras por microscopia electrónica de barrido (MEB) de alto y bajo vacío, con un equipo JEOL JSM-6460LV, scanning electron microscope, en la Subdirección de Laboratorios y Apoyo Académico del Instituto Nacional de Antropología e Historia (INAH). Ello ha permitido integrar y, en algunos casos, corroborar las observaciones de los elementos anatómicos en el proceso de la determinación taxonómica. Además, con los estudios con MEB se han obtenenido las primeras aproximaciones referentes a la evaluación sobre el método de sustitución con azúcares sintéticos.
Resultados obtenidos para el primer grupo de muestras
Las especies maderables se dividen en gimnospermas (coníferas), denominadas “plantas sin flores con semillas” (del griego gymnos, “desnudo”, y sperma, “semilla”), y angiospermas, que tienen flores y semillas (del griego angion, “recipiente”, y sperma, “semilla”), las cuales, al madurar, se convierten en un fruto (Nabors, 2006, p. 17). De las 62 muestras identificadas taxonómicamente, se han podido determinar cuatro géneros y una especie pertenecientes a gimnospermas con las familias Pinaceae con los géneros Pinus sp. (pino) y Abies sp. (oyamel) así como Cupressaceae con los géneros Taxodium sp. (ahuehuete) y Cupressus sp. (ciprés o cedro blanco).
Por su parte, la madera identificada como angiosperma tuvo un porcentaje menor en los resultados, registrándose la familia Betuleceae con el género Alnus sp. (aile) y la familia Scrophulariaceae con el género Buddleja sp. (tepozán).
Descripción anatómica y valores de densidad de los géneros identificados
Pino, ayacahuite
Los elementos anatómicos observados en las muestras del género Pinus sp. correspondieron: en vista transversal, a la presencia de traqueidas que forman anillos de crecimiento y canales resiníferos y en vista tangencial, a traqueidas, radios uniseriados y radios fusiformes, mientras que en vista radial se observaron los campos de cruce con puntuaciones tipo pinoide así como traqueida de radio de bordes lisos. Particularmente, en la única especie determinada como Pinus ayacahuite se observaron en el campo de cruce de una a dos puntuaciones por ventana tipo fenestroide, traqueidas de radio de bordes lisos y puntuaciones areoladas uniseriadas.
Abeto u oyamel
Los elementos anatómicos observados en vista tangencial correspondieron a radios uniseriados, traqueidas longitudinales con puntuaciones areoladas dispuestas en filas uniseriadas y biseriadas así como a la presencia de barras de Sanio; en vista radial, los campos de cruce presentaron puntuaciones de tipo taxodioide de una a dos ventanas y una hilera de puntuaciones areoladas.
Ciprés o cedro blanco
La muestra analizada no presentó canales resiníferos de ningún tipo. En corte transversal se observó un anillo de crecimiento apenas marcado por cuatro o cinco hileras de traqueidas de madera tardía; en corte tangencial, una hilera de puntuaciones areoladas, y en corte radial, puntuaciones de tipo cupressoide en los campos de cruce.
Ahuehuete
En estas muestras se observó la presencia, en los cortes longitudinales, de engrosamientos en espiral y una hilera de puntuaciones areoladas y radios de tipo homogéneo y uniseriados; en vista radial, los campos de cruzamiento presentaron puntuaciones de tipo taxodioide de una a cuatro por ventana.
Alisos o ailes
Los elementos observados en cortes longitudinales son vasos con placas perforadas escaleriformes; muestran presencia de puntuaciones de vaso-rayo similares a las de los vasos así como fibras de tipo libriforme y rayos uniseriados.
Tepozán, Tepozán blanco
Los elementos anatómicos de Buddleja sp., en vista transversal, son poros solitarios; en corte tangencial, radios poliseriados y muestran presencia de fibras; en vista radial se observaron engrosamientos helicoidales abarcando el vaso, con placa perforada simple (Figuras 6 y 7).
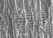
Figura 6 Elementos anatómicos observados en las muestras.
| Tipos de células | Planos o cortes |
|---|---|
| Gimnosperma (Conífera) | |
|
Traqueidas En corte transversal, conforman la madera temprana y madera tardía. En vista longitudinal se conectan entre sí, en la pared celular por puntuaciones areoladas. ㅤ Células parenquimatosas Se observan en corte transversal como células epiteliales de los canales resiníferos. En corte tangencial están interconectadas entre sí por puntuaciones simples. Según la posición del árbol, se observan como parénquima longitudinal (vertical o axial) y parénquima radial (radios o rayos). En corte radial, el campo de cruce o cruzamiento se genera por la unión de traqueidas con radios. |
Corte transversal (10x) ㅤ Corte tangencial (10x) ㅤ Corte radial (40x) |
| Angiosperma | |
|
Vasos En corte transversal se denominan poros. En corte longitudinal, se observan elementos de vaso (puntuaciones). ㅤ Fibras libriformes Vistas longitudinales con forma alargada y presencia de un lumen. ㅤ Traqueidas Posición intermedia entre vasos y fibras libriformes. ㅤ Células parenquimáticas Células prismáticas, conforman los rayos o radios. Parénquima longitudinal y horizontal. |
Corte transversal (10x) ㅤ Corte tangencial (10x) ㅤ Corte radial (40x) |
(Tabla: Equipo de conservación del Proyecto Templo Mayor, Laboratorio de Biología [ENCRyM], y Subdirección de Laboratorios y Apoyo Académico [INAH], 2021; cortesía: PTM-INAH)
Figura 7 Tabla de resultados para el primer grupo de muestras.
| Operación Ofrenda | Descripción | Microscopía Óptica (MO) | Microscopía Electrónica de Barrido (MEB) | Identificación taxonómica |
|---|---|---|---|---|
| OP 6 |
Indeterminada MO 158 |
40x |
100x |
Gimnosperma Familia: Pinaceae Género: posible Abies Kunth. Schltdl. et Chan |
| OF 120 |
Corteza A 908 |
10x |
400x |
Gimnosperma |
| OF 125 |
Orejera-tapa A 668 |
40x |
Sin registro meb | Gimnosperma Familia: Curessaceae Género: posible Taxodium Ten. |
| OF 125 |
Orejera-poste A 674 |
40x |
Sin registro meb | Gimnosperma Familia: Curessaceae Género: posible Taxodium Ten. |
| OF 125 |
Orejera-cilindro A 685 |
40x |
500x |
Gimnosperma Familia: Curessaceae Género: posible Taxodium Ten. |
| OF 125 |
Orejera-cilindro A 600 |
10x |
150x |
Gimnosperma Familia: Curessaceae Género: posible Taxodium Ten. |
| OF 126 |
Cetro Xiuhcóatl A 169 |
40x |
100x |
Gimnosperma Familia: Pinaceae Género: Pinus L. |
| OF 126 |
Átlatl A 383 |
10x |
60x |
Gimnosperma Familia: Pinaceae Género: Pinus L. |
| OF 126 |
Moño A 336 |
40x |
500x |
Gimnosperma Familia: Pinaceae Género: Pinus L. |
| OF 126 |
Máscara Tláloc A 192 |
40x |
250x |
Gimnosperma Familia: Pinaceae Género: Pinus L. |
| OF 126 |
Jarra Tláloc A 214 |
40x |
500x |
Gimnosperma Familia: Pinaceae Género: Pinus L. |
| OF 126 |
Cetro Xiuhcóatl A 173 |
40x |
500x |
Gimnosperma Familia: Pinaceae Género: Pinus L. |
| OF 126 |
Xiuhtótotl A 228 |
40x |
50x |
Gimnosperma Familia: Pinaceae Género: Pinus L. |
| OF 126 |
Átlatl A 380 |
40x |
100x |
Gimnosperma |
| OF 126 |
Dardo A 707 |
40x |
100x |
Gimnosperma Familia: Pinaceae Género: Pinus L. |
| Of 126 |
Dardo A 712 |
10x |
500x |
Gimnosperma Familia: Pinaceae Género: Pinus ayacahuite L. |
| OF 130 |
Indeterminada MO 12 |
40x |
100x |
Gimnosperma Familia: Pinaceae Género: posible Abies Kunth. Schltdl. etChan |
| OF 136 |
Cetro Chicahuaztli A 62 |
40x |
500x |
Gimnosperma Familia: Pinaceae Género: Pinus L. |
| OF 136 |
Cetro Chicahuaztli A 47 |
40x |
350x |
Gimnosperma Familia: Pinaceae Género: Pinus L. |
| OF 137 |
Máscara antropomorfa A 75 |
40x |
200x |
Gimnosperma Familia: Pinaceae Género: Pinus L. |
| OF 137 |
Techálotl A 277 |
40x |
100x |
Gimnosperma |
| OF 137 |
Dardo A 238 |
10x |
140x |
Gimnosperma Familia: Pinaceae Género: Pinus ayacahuite Ehr. |
| OF 137 |
Máscara antropomorfa A 44 |
40x |
300x |
Angiosperma Familia: Betulaceae Género: Alnus H.B.K |
| OF 137 |
Techálotl A 137 |
40x |
150x |
Gimnosperma Familia: Pinaceae Género: Pinus L. |
| OF 137 |
Máscara antropomorfa A 170 |
10x |
500x |
Gimnosperma |
| OF 137 |
Vara A 194 |
40x |
300x |
Gimnosperma Familia: Pinaceae Género: Pinus L. |
| OF 141 |
Cetro Tlahuitímetl A 32-A 31 |
10x |
500x |
Gimnosperma Familia: Pinaceae Género: Pinus L. |
| OF 141 |
Cetro cabeza de venado A33 |
40x |
500x |
Gimnosperma Familia: Pinaceae Género: Abies Kunth. Schltdl. et Chan |
| OF 141 |
Lanzadardos A 93 |
40x |
500x |
Gimnosperma Familia: Pinaceae Género: Abies Kunth. Schltdl. et Chan |
| OF 141 |
Cilindro A 143 |
40x |
250x |
Gimnosperma |
| OF 141 |
Máscara antropomorfa A 169 |
40x |
500x |
Angiosperma Familia: Betulaceae Género: Posiblemente Alnus H.B.K |
| OF 141 |
Máscara Tláloc A 1221 |
60x |
500x |
Angiosperma Familia: Betulaceae Género: Alnus H.B.K |
| OF 141 |
Nariz máscara. A 1221 |
40x |
500x |
Gimnosperma Familia: Pinaceae Género: Pinus ayacahuite Ehr. |
| OF 141 |
Máscara antropomorfa A 177 |
10x |
500x |
Angiosperma |
| OF 141 |
Máscara antropomorfa A 272 |
40x |
150x |
Angiosperma Familia: Betulaceae Género: Alnus H.B.K |
| OF 141 |
Cetro serpentiforme A 383 |
10x |
1000x |
Gimnosperma Familia: Pinaceae Género: Pinus L. |
| OF 141 |
Cilindro A 394 |
10x |
1000x |
Angiosperma Familia: Scrophulariaceae Género: Buddleja L. |
| OF 141 |
Dardo A 539 |
40x |
100x |
Gimnosperma Familia: Pinaceae Género: Pinus ayacahuite |
| OF 141 |
Cilindro (orejera) A 542 |
10x |
200x |
Angiosperma Familia: Scrophulariaceae Género: Buddleja L. |
| OF 141 |
Dardo A 1482 |
40x |
400x |
Gimnosperma Familia: Pinaceae Género: Abies Kunth. Schltdl. et Chan |
| OF 141 |
Máscara antropomorfa A 339 |
40x |
600x |
Angiosperma Familia: Betulaceae Género: Alnus H.B.K |
| OF 141 |
Cilindro-orejera A 662 |
10x |
180x |
Angiosperma Familia: Scrophulariaceae Género: Buddleja L. |
| OF 141 |
Cetro serpentiforme A 1030 |
10x |
100x |
Gimnosperma Familia: Pinaceae Género: Pinus ayacahuite Ehr. |
| OF 141 |
Cetro serpentiforme A 1245 |
40x |
300x |
Gimnosperma Familia: Pinaceae Género: Pinus L. |
| OF 141 |
Cetro serpentiforme A 1244 |
/ 20x |
350x |
Gimnosperma Familia: Pinaceae Género: Pinus L. |
| OF 141 |
Cetro en forma de hueso A 123 |
40x |
350x |
Gimnosperma Familia: Cupressaceae Género: Cupressus L. |
| OF 141 |
Máscara Tláloc A 1263 |
60x |
200x |
Angiosperma Familia: Betulaceae Género: Alnus |
| OF 141 |
Pectoral Anáhuatl A 111 |
40x |
60x |
Gimnosperma |
| OF 141 |
Atado de varas A 1346 |
10x |
100x |
Gimnosperma Familia: Pinaceae Género: Pinus L. |
| OF 141 |
Jarra Tláloc A 1412 |
40x |
500x |
Gimnosperma Familia: Pinaceae Género: Pinus L. |
| OF 163 |
Techálotl A 233 |
40x |
300x |
Gimnosperma |
| OF 174 |
Orejera A 84 |
10x |
300x |
Gimnosperma Familia: Pinaceae Género: Pinus L. |
| OF 174 |
Orejera A 121 |
40x |
300x |
Gimnosperma Familia: Pinaceae Género: Pinus L. |
| OF 174 |
Tzotzopaztli A 127 |
10x |
500x |
Gimnosperma |
| OF 174 |
Cilindro A 129 |
40x |
Sin registro meb | Gimnosperma Familia: Pinaceae Género: Pinus L. |
| OF 174 |
Jarra Tláloc A 265 |
10x |
Sin registro meb | Angiosperma |
| OF 174 |
Máscara Tláloc A 340 |
10x |
550x |
Angiosperma |
| OF 174 |
Cetro serpentiforme A 496 |
40x |
90x |
Gimnosperma Familia: Pinaceae Género: Pinus L. |
| OF 174 |
Cetro serpentiforme A 498 |
10x |
150x |
Gimnosperma Familia: Pinaceae Género: Pinus L. |
| OF 176 |
Pectoral Anáhuatl A2 |
40x |
430x |
Gimnosperma Familia: Pinaceae Género: Pinus L. |
| OF 176 |
Orejera A 25 |
10x |
700x |
Gimnosperma Familia: Pinaceae Género: Pinus L. |
| OF 176 |
Orejera A 26 |
40x |
Sin registro meb | Gimnosperma Familia: Pinaceae Género: Pinus L. |
(Tabla: Equipo de conservación del Proyecto Templo Mayor, Laboratorio de Bioligía [ENCRyM], y Subdirección de Laboratorios y Apoyo Académico [INAH], 2021; cortesía: PTM-INAH)
La información obtenida con las identificaciones taxonómicas se ha complementado, mediante la consulta de referencias especializadas en clasificación, con precisiones sobre el tipo de vegetación (Conabio, 2020; Rzedowski, 2006). Dentro del grupo de las gimnospermas (coníferas), el Pinus sp. (pino) crece en los denominados “bosques de coníferas”, que cubre aproximadamente 15% del territorio mexicano y presenta un endemismo muy alto. Las especies de Pinus ayacahuite (pino ayacahuite), Abies sp. (abeto u oyamel) y Cupressus sp. (ciprés o cedro blanco) crecen en los bosques de coníferas, también denominados “bosques de pinos mexicanos”. Por su parte, el Taxodium sp. (ahuehuete) se localiza en los bosques de galería, los cuales pueden describirse como agrupaciones arbóreas que se desarrollan a lo largo de corrientes de agua más o menos permanentes, y que han podido adaptarse a los climas templados (Rzedowski, 2006, p. 295).
Los géneros de angiosperma Alnus sp. (alisos o ailes) crecen en los bosques de coníferas y en los de galería, en las riberas de los ríos y en las laderas húmedas de los bosques templados. Finalmente, la Buddleja sp. (tepozán, tepozán blanco) se encuentra dentro de la vegetación de pastizales y de bosques de coníferas (Conabio, 2020; Comisión Nacional Forestal [Conafor], 2020; Rzedowski, 2006, p. 367).
Con el fin de complementar los resultados obtenidos hasta el momento así como de evaluar de manera multidisciplinaria algunos aspectos referentes al estado de conservación que guarda la colección, sus materiales constitutivos y sus características formales, se realizó también una revisión sobre los valores de densidad de las especies identificadas. Ello con el objeto de comprender de forma integral la colección en estudio y de valorar si dicha característica pudiera tener relación con las propiedades físico-mecánicas de las maderas identificadas. Al respecto cabe decir que ese tipo de aproximaciones hacia los bienes arqueológicos, si bien busca complementar la información relacionada con su estado de conservación, los mecanismos y los efectos de su deterioro, también contribuye al conocimiento y al análisis de los bienes culturales desde distintas miradas. Ello permitirá, entonces, cotejar y conjuntar entre sí los diferentes resultados obtenidos, con lo que, además, se dará respaldo a futuros planteamientos sobre los objetos en estudio. La revisión sobre los valores de densidad se basó en la clasificación de Sotomayor (2005), quien agrupa las densidades mexicanas en: muy baja, baja, media y alta, de acuerdo con parámetros que van de 0 a mayor de 800 kg/m3 (Figura 8).
Figura 8 Clasificación de la densidad (kg/m3) de la madera.
| Sotomayor (2005) clasificación | Densidad (kg/m3) Peso-seco/volumen verde |
|---|---|
| Muy baja | Menor de 200 |
| Baja | 201-400 |
| Media | 401-600 |
| Alta | 601-800 |
| Muy alta | Mayor de 800 |
(Fuente: Sotomayor, 2005)
Del grupo de las gimnospermas (coníferas), la madera de Pinus sp. (pino) tiene numerosas especies, cuyas densidades oscilan entre bajas y medias (395 a 540 kg/m3). Particularmente, la madera de Pinus ayacahuite (ayacahuite) tiene una densidad media (400 kg/m3) (Ordóñez y Col., 1990, en Sotomayor, 2005, p. 15). La madera de Abies religiosa (abeto u oyamel) tiene una densidad baja (380 kg/m3) (Echenique y Becerra, 1972, en Sotomayor, 2005, p. 15), mientras que tanto el Cupressus sp. (ciprés o cedro blanco) (430 kg/m3) (Erdoiza y Castillo, 1992, en Sotomayor, 2005, p. 15) como el Taxodium sp. (ahuehuete) (430 kg/m3) presentan densidades medias (Global Wood Density, 1998, tomado de Ordóñez et al., 2015, p. 18).
Dentro del grupo de las angiospermas, el Alnus sp. (aliso o aile) presenta una densidad media (430 kg/m3) (Tortorelli, Ordóñez y Col., en Sotomayor, 2005, p. 18), mientras que para la Buddleja sp. (tepozán o tepozán blanco) no fue posible localizar el valor en especies mexicanas. En ese caso particular se obtuvo un dato general, cuyo valor oscila entre los 780 y los 790 kg/m3 (MAE y FAO, 2014, p. 133), con lo que el tepozán clasifica como la única madera de densidad alta dentro de ese primer grupo de estudio.
Discusión de resultados
Aunque los bienes manufacturados en madera no se localizan con frecuencia en las excavaciones arqueológicas, principalmente debido a la vulnerabilidad de sus componentes, gracias a los relatos de cronistas como fray Bernardino de Sahagún sabemos que en la época mexica los carpinteros y los talladores eran artesanos especializados a quienes se le encomendaban todo tipo de estructuras, objetos y ornamentos (López et al., 2003, p. 152-154). Asimismo, en el Códice florentino de Sahagún se hace referencia a los árboles y las plantas existentes en la Cuenca de México (Sahagún, 1979, lib. XI, ff. 110r-112v). La gran oportunidad de conservar y de estudiar los objetos recuperados en el Proyecto Templo Mayor permite corroborar esa información. Los resultados obtenidos en esta primera fase confirman el uso de las plantas y de los árboles cercanos a la Cuenca de México. A ese respecto se debe mencionar que los bosques de coníferas, o bosques de pinos mexicanos, seguidos de los bosques de galería, se ubican en el eje volcánico transversal (aproximadamente en los paralelos 19° y 20° N), y que la superficie de la Ciudad de México se encuentra justo dentro de ese eje, con un relieve definido por sierras y un valle (Instituto Nacional de Estadística y Geografía [Inegi], 2021; Rzedowski, 2006, p. 23). Esa información corrobora, como se menciona en las fuentes históricas, la cercanía de la cuenca con la vegetación de los alrededores.
Para el total de las muestras analizadas se identificó un mayor porcentaje de maderas de gimnosperma (conífera), principalmente de la familia Pinaceae, género Pinus (pino). Es pertinente mencionar que, justamente en esos casos, los elementos anatómicos presentaron bordes lisos en las traqueidas de radio, lo cual llevó a definir esas especies como pinos blandos, es decir, que tienen menor cantidad de resina en comparación con los pinos duros. Ello pudiera tener relación con la intencionalidad en la selección de las especies, es decir, que quizá los carpinteros y los talladores de la época conocían las características de las especies maderables que podían seleccionar y utilizar para un mejor aprovechamiento, ya que los pinos blandos, con menor cantidad de resina, muy posiblemente habrán sido más fáciles de tallar y de trabajar (Figura 9).

(Análisis: Equipo de Conservación Proyecto Templo Mayor y Laboratorio de Biología ENCRyM-INAH, 2021; cortesía PTM-INAH)
Figura 9 Resultados obtenidos en el primer grupo de muestras. Se observa la predominancia de coníferas, principalmente de la familia Pinaceae.
También resultó interesante revisar la información que arrojaron los valores de densidad para las muestras analizadas. Ese valor para la madera (seca) como materia prima impacta directamente junto con el resto de sus propiedades físico-mecánicas, y es un indicador confiable de resistencia mecánica (Bodiq y Jane, en Sotomayor, 2005, p. 6). Los datos obtenidos indicaron la selección de maderas de densidades medias en la mayoría de las muestras, es decir, de aquellas que habrán sido, además de resistentes, óptimas para el trabajo de talla.
En cuanto a la medición de la efectividad del proceso de estabilización con azúcares sintéticos, con las observaciones bajo microscopio electrónico de barrido se constató que la cristalización de los azúcares al interior de las estructuras vegetales contribuye con un engrosamiento de sus paredes celulares. Ello se ha observado con las dos variables del método por sustitución, mientras que en las muestras sometidas a un secado controlado -sin impregnación de azúcares-, se han podido identificar debilitamientos y fracturas en las estructuras vegetales. Las observaciones a las muestras se cotejan, además, con inspecciones y monitoreos realizados periódicamente a los objetos ya estabilizados. Con ello se ha confirmado la estabilidad de la colección tanto a corto como a mediano plazo (Figura 10).
Figura 10 Proceso de impregnación con azúcares sintéticos. Evaluación de resultados bajo microscopio electrónico de barrido
(Tabla: Equipo de conservación del Proyecto Templo Mayor y Subidrección de Laboratorios y Apoyo Académico [INAH] 2016; cortesía PTM-INAH).
Las identificaciones taxonómicas han llevado finalmente a realizar algunas observaciones referentes a las especies identificadas y a su relación con las tipologías establecidas. La totalidad de las muestras obtenidas de los distintos cetros (en forma de hueso, Techálotl, tlahuitímetl, serpentiformes, cabeza de venado y chicahuaztli) han sido identificadas como gimnospermas (coníferas), principalmente de la familia Pinaceae. Ello pudiera deberse a la facilidad para trabajar esa madera, que además proviene de pinos blandos y presenta una densidad media. No hay que olvidar, sin embargo, que un alto porcentaje de las 62 muestras identificadas son gimnospermas, principalmente de esa misma familia: Pinaceae. Por ello habrá que continuar avanzando con la identificación de más elementos para, así, lograr una mejor aproximación a ese respecto.
Los resultados y su relación con las tipologías establecidas han llevado también a plantear algunas otras interrogantes. Cabe destacar el caso de las dos máscaras Tláloc, provenientes de la Ofrenda 141, que se determinaron como Alnus sp. Los análisis mostraron que la nariz de una de esas dos máscaras (A 1221) fue tallada en una madera distinta de la usada en la propia máscara, para posteriormente ensamblar ambas piezas. A partir de la identificación de la madera en la nariz como Pinus ayacahuite, inevitablemente surgieron algunas preguntas. Sería interesante entender las causas por las cuales se utilizaron maderas distintas para piezas ensamblables en un mismo elemento. Quizá ello se deba a la disponibilidad de los materiales en el momento de la manufactura, a la destreza del artesano o a la diferencia en las densidades y la facilidad de la talla para cada uno de los casos. La presente investigación continuará ahondando en esas interrogantes (Figura 11).
Conclusiones
Desde los inicios del PTM, los especialistas siempre han trabajado de manera multidisciplinaria. Se puede decir que, durante más de 40 años de trabajo, la arqueología ha caminado de la mano de la conservación, y la presente investigación confirma una vez más este hecho. A lo largo de este trabajo, las diferentes disciplinas se integran y se complementan con el fin de obtener un mayor conocimiento sobre los objetos de madera recientemente recuperados en el Templo Mayor.
Es así como esta investigación multidisciplinaria demuestra que ese tipo de aproximaciones a un conjunto de bienes culturales da la posibilidad de obtener información que se va integrando hacia un mayor conocimiento y comprensión del caso de estudio. Aunque la colaboración entre el PTM y el Laboratorio de Biología de la ENCRyM estableció como objeto principal el conocimiento de las especies maderables para, con ello, medir y evaluar el estado de conservación y la relación con los resultados de la estabilización, las identificaciones taxonómicas de esta primera fase han permitido también complementar diferentes aproximaciones al análisis de esa inigualable colección.
Como parte de esta investigación, los estudios continuarán avanzando y complementándose con los resultados que se obtengan en las fases subsecuentes, buscando con ello establecer coincidencias referentes a las especies, las tipologías, el estado de conservación, los procesos de estabilización y las características específicas del contexto.









texto en 







































































































































































































